标签:
点击标签查看相关内容
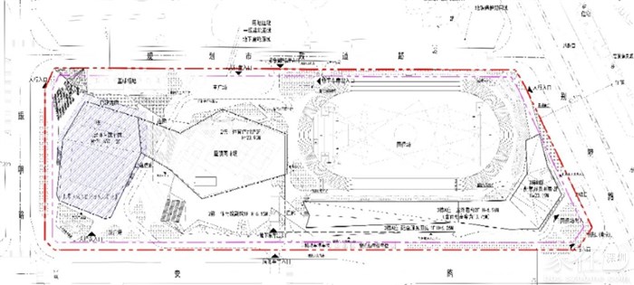
红花山体育中心总平面设计调整公示
深圳市光明区红体投资有限公司申请办理光明区红花山体育中心改扩建项目(宗地号:A627-0264)的建设工程规划许可证,涉及已批总平面图调整,现根据《中华人民共和国城乡规划法》相关规定予以公示:
一、调整内容
光明区红花山体育中心改扩建项目位于光明区公明街道安发路西侧、振明路北侧,宗地号为A627-0264,该项目于2010年2月取得《建设工程规划许可证》(深规土建许字GM-2010-009号),2022年5月取得体育馆、游泳中心用房及连廊的《建设工程规划验收合格证》(深规划资源建验字GM-2022-0008号)。本次改扩建的主要内容为(具体详见附件《屋顶总平面图》):
(一)已建体育馆主馆全部保留,其附属连廊部分拆除、附属室外电梯拆除,已建游泳中心及其附属连廊全部拆除。新建2片室外篮球场。
(二)现状室外泳池、地面篮球场、网球场、田径场及门球场全部拆除,新建体育馆副馆、田径场、室外看台、配套服务用房、公共连廊、架空层及地下室。
(三)改扩建后各项指标详见技术经济指标表。
本次改扩建涉及建筑布局及功能调整,修改后各项规划指标符合变更后《建设用地规划许可证》(地字第440311202200176)的规定要求。
![]()
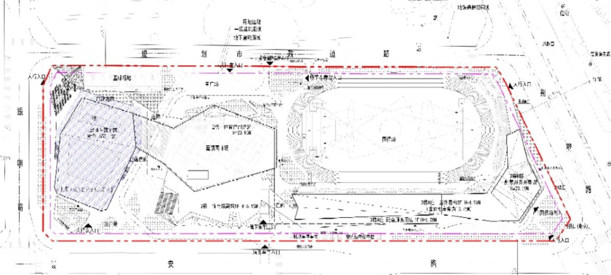
一、调整内容
光明区红花山体育中心改扩建项目位于光明区公明街道安发路西侧、振明路北侧,宗地号为A627-0264,该项目于2010年2月取得《建设工程规划许可证》(深规土建许字GM-2010-009号),2022年5月取得体育馆、游泳中心用房及连廊的《建设工程规划验收合格证》(深规划资源建验字GM-2022-0008号)。本次改扩建的主要内容为(具体详见附件《屋顶总平面图》):
(一)已建体育馆主馆全部保留,其附属连廊部分拆除、附属室外电梯拆除,已建游泳中心及其附属连廊全部拆除。新建2片室外篮球场。
(二)现状室外泳池、地面篮球场、网球场、田径场及门球场全部拆除,新建体育馆副馆、田径场、室外看台、配套服务用房、公共连廊、架空层及地下室。
(三)改扩建后各项指标详见技术经济指标表。
本次改扩建涉及建筑布局及功能调整,修改后各项规划指标符合变更后《建设用地规划许可证》(地字第440311202200176)的规定要求。




粤公网安备 44030402000760号
