家在深圳,真实业主生活圈_房网论坛

0

|

13

停了?城启家园1032套住宅

传信息
传信息

积分:-

注册时间:-

主楼
2023-11-16 10:20:41
标签: 点击标签查看相关内容

停了?城启家园1032套住宅

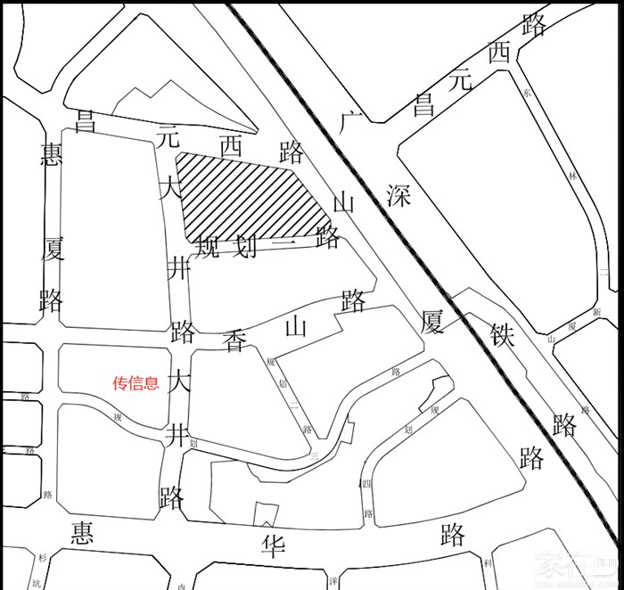
 深圳市远盛业投资有限公司开发建设的城启家园(平湖街道山厦旧村城市更新单元一期02-04地块,宗地号:G04207-0171)项目位于龙岗区平湖街道山厦社区山厦路与昌元西路交会处,用地面积16468.83平方米,土地性质为二类居住用地,新建建筑2栋,允许建设规定建筑面积99280平方米,其中:住宅87221平方米、商业3160平方米、9班幼儿园2400平方米(用地面积2700平方米)、综合车站3100平方米、社区健康服务中心1600平方米、社区老年人日间照料中心1600平方米、物业服务用房199平方米。


分享
0
传信息
传信息

积分:-

注册时间:-

沙发
2023-11-16 10:20:57

位置 

传信息
传信息

积分:-

注册时间:-

板凳
2023-11-16 10:21:55
1032套住宅,总2栋,1栋四单元47F,其中2栋是幼儿园


传信息
传信息

积分:-

注册时间:-

地板
2023-11-16 10:22:22

47层的住宅


传信息
传信息

积分:-

注册时间:-

4楼
2023-11-16 10:23:57
许可证

heroliu
heroliu

积分:-

注册时间:-

5楼
2023-11-16 10:25:32 来自Android手机客户端
都停工好久了,也不知啥时候开建
传信息
传信息

积分:-

注册时间:-

6楼
2023-11-16 10:30:05
目前现状

传信息
传信息

积分:-

注册时间:-

7楼
2023-11-16 10:30:16
要看开发商吧
引用5楼heroliu的发言:
都停工好久了,也不知啥时候开建
jxufes
jxufes

积分:-

注册时间:-

8楼
2023-11-16 10:35:12
容积率太高了,这么点占地面积1000多户。
xv880
xv880

积分:-

注册时间:-

9楼
2023-11-17 11:12:12 来自Android手机客户端
会不会暴雷了,没动静
宇宙战斗机
宇宙战斗机

积分:-

注册时间:-

10楼
2023-11-17 11:20:19 来自Android手机客户端
远洋不是已经爆雷了吗
引用xv880的发言:
会不会暴雷了,没动静
caocheng
caocheng

积分:-

注册时间:-

11楼
2023-11-17 11:49:19
夹在罗山与智创园中间的远洋山厦旧改,本身就是个金疙瘩,再怎么出问题,这个项目都可以高枕无忧,目前停一停,既有远洋本身的问题,也有等一等大势的要求,晚个1-2年,再跟上,几大芯片厂人来了,会相当的抢手。
箩山芯谷
箩山芯谷

积分:-

注册时间:-

12楼
2023-11-17 12:57:48 来自Android手机客户端
关于公布平湖街道城启家园项目《建设工程规划许可证》和屋顶总平面图的通告
发布时间: 2023年11月15日 来源:龙岗区城市更新和土地整备局 浏览次数:99 T浏览字号:大中小
  深圳市远盛业投资有限公司开发建设的城启家园(平湖街道山厦旧村城市更新单元一期02-04地块,宗地号:G04207-0171)项目位于龙岗区平湖街道山厦社区山厦路与昌元西路交会处,用地面积16468.83平方米,土地性质为二类居住用地,新建建筑2栋,允许建设规定建筑面积99280平方米,其中:住宅87221平方米、商业3160平方米、9班幼儿园2400平方米(用地面积2700平方米)、综合车站3100平方米、社区健康服务中心1600平方米、社区老年人日间照料中心1600平方米、物业服务用房199平方米。

  经我局审查,同意核发《深圳市建设工程规划许可证》(建字第4403072023GG0105378号)。依据《中华人民共和国城乡规划法》及《深圳市建设工程规划许可(房建类)报建文件编制技术规定》(深规土〔2018〕949号)相关规定,现将本次核发的《深圳市建设工程规划许可证》和屋顶总平面图予以公布。

  特此通告。
xv880
xv880

积分:-

注册时间:-

13楼
2023-11-17 15:59:56 来自Android手机客户端
晚两年,17号线都来了
引用caocheng的发言:
夹在罗山与智创园中间的远洋山厦旧改,本身就是个金疙瘩,再怎么出问题,这个项目都可以高枕无忧,目前停一停,既有远洋本身的问题,也有等一等大势的要求,晚个1-2年,再跟上,几大芯片厂人来了,会相当的抢手。
  • 插入图片

    支持一次选择9张图片上传(使用Ctrl、Shift选中);

    支持jpg、png、gif,单张图片不超过10M,png不超过1M,gif不超过300K。

    • 继续添加

  • 提到好友

3(16px)

楼主最近发表

相关帖子

    大家都在看

    下载家在深圳APP

    关注家在公众号