家在深圳,真实业主生活圈_房网论坛

0

|

6

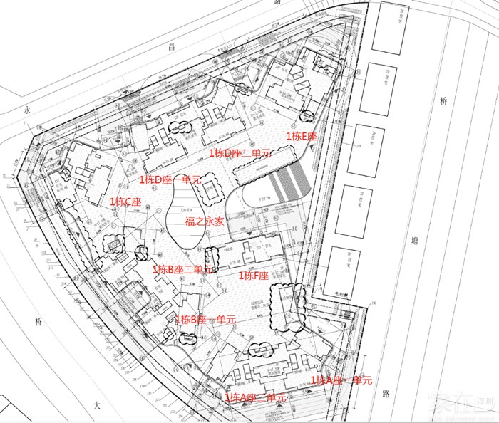
鸿桥世纪名园平面图修改(785套住宅)

福之永家
福之永家

积分:-

注册时间:-

主楼
2023-02-02 10:14:05
标签: 点击标签查看相关内容

鸿桥世纪名园平面图修改(785套住宅)

  一、调整商业裙房轮廓、核增和核减面积以及建筑覆盖率等经济技术指标,具体详见主要技术经济指标表。


  二、住宅1栋A、B和F座之间的商业裙房屋顶层增加两处商业排烟机房。
  三、补充商业空调冷却塔预留位置。

  四、完善住宅1栋A座、B座、C座、D座、E座、

F座裙房屋面风井表达;增加1栋B座入户大堂雨棚,同时补充1栋B座北侧裙房屋面商业货梯电梯机房的表达。







分享
0
福之永家
福之永家

积分:-

注册时间:-

沙发
2023-02-02 10:28:54
项目名称:鸿桥世纪名园
建设用地:23987.29平
总建设面积:179486平
容积率:4.8
绿化率:30%
层高:79.5米(24/3层)
停车位:1389辆
住宅:785套,套内小于90平664套,占比84.59%


福之永家
福之永家

积分:-

注册时间:-

板凳
2023-02-02 10:30:04
位置


福之永家
福之永家

积分:-

注册时间:-

地板
2023-02-02 10:31:21
70多89-186平(5种户型)







福之永家
福之永家

积分:-

注册时间:-

4楼
2023-02-02 10:34:16
优点:地铁还算近,约5字头价格

缺点:周边厂房不少,对比新房价格优势不大
魁哥_Christian
魁哥_Christian

积分:-

注册时间:-

5楼
2023-02-02 21:05:44 来自iPhone客户端
福永盘
juicer
juicer

积分:-

注册时间:-

6楼
2023-02-03 16:20:11 来自Android手机客户端
福永村盘5字头…
  • 插入图片

    支持一次选择9张图片上传(使用Ctrl、Shift选中);

    支持jpg、png、gif,单张图片不超过10M,png不超过1M,gif不超过300K。

    • 继续添加

  • 提到好友

3(16px)

楼主最近发表

相关帖子

    大家都在看

    下载家在深圳APP

    关注家在公众号